Skip to main content
Verkocht onder voorbehoud

van Loonstraat 49 8932 AN Leeuwarden

€ 200.000,- k.k.
  • 61 m2  woonopp.
  • 1 badkamer
  • Bouwjaar 1940
  • 4 kamers
  • Tuin op Zuidwest

Omschrijving

Starters opgelet! Deze eindwoning heeft een zeer fraaie ligging met een supermarkt en het station op steenworp afstand en zonder directe overburen en de achtertuin is met ca. 60m2 ruim van formaat en is op het zuidoosten gelegen. Geen zin om in de tuin te zitten? Het stads centrum is eenvoudig aan te lopen en biedt je alle voorzieningen die je maar wenst!

De woning heeft een gebruiksoppervlak wonen van ca. 61m2 en beschikt op over twee slaapkamers. De woning is nog maar beperkt na geïsoleerd, wat dus de gelegenheid biedt om het nu direct in één keer goed te doen volgens de huidige normen. Voor het verduurzamen/isoleren van de woning zijn diverse potjes beschikbaar die de kosten aanzienlijk kunnen drukken. Vraag ons gerust als je hier meer informatie over wenst. De kozijnen rondom zijn van hout en verdienen wat aandacht. De ramen zijn voorzien van dubbel glas. De verwarming geschiedt middels radiatoren die zijn aangesloten op recent onderhouden Remeha Tzerra HR-combiketel van 2020 die in eigendom is.

INDELING
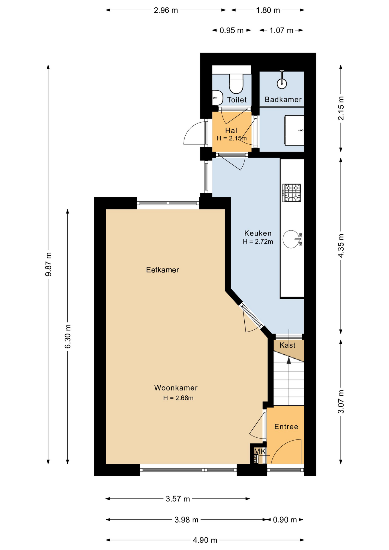
Begane grond
Hal/entree met meterkast en de opgang naar de verdieping. De woonkamer is een echte doorzonkamer met een grote raampartij aan de voor- en achterzijde. De keuken is gesloten en voorzien van een 5-pits gasplaat en een afzuigkap. De koelkast, vaatwasser en de wasmachine staan los en zijn bij de koop inbegrepen. Aansluitend de tussen hal met de achterdeur, en toegang tot het toilet met wandcloset en fonteintje en de badkamer met douche en wastafel.

Verdieping
Ruime overloop met vaste kasten met hierin ook de CV-installatie. Twee slaapkamers beide met een een dakkapel. De slaapkamer aan de voorzijde is voorzien van een eigen wastafel. De vliering is toegankelijk middels een luik op de overloop. De indeling van de verdieping kan eventueel met wat inspanning en creativiteit naar wens aangepast en/of ingedeeld worden.

Tuin
Zoals gezegd de tuin is met ca. 60m2 aan de ruime kant, zeker voor stadse begrippen. Hier geniet je nagenoeg de gehele dag van de zon. Dat de tuin zo ruim is geeft ook de mogelijkheid om de woning nog verder uit te bouwen. Al met al mogelijkheden en potentie in overvloed!

+ Volledige omschrijving

De Waard Makelaars en Taxateurs

Telefonisch bereikbaar tot 17:00

Bel 0517393931

Documenten

Download media

Kenmerken

Overdracht

Vraagprijs € 200.000,- k.k.
Publicatiedatum 11 oktober 2025
Status Verkocht onder voorbehoud
Aanvaarding In overleg

Oppervlakte en inhoud

Woonoppervlakte 61 m2
Inhoud 235 m3

Energie

Energieklasse G
Isolatievormen Dubbelglas
Soorten verwarming CV ketel
CV ketel type Remeha Tzerra
CV ketel bouwjaar 2020
CV ketel brandstof Gas
CV ketel eigendom Eigendom
Soorten warm water CV ketel

Garage

Soort garage Geen garage

Bouw

Soort woonhuis Eengezinswoning
Soort bouw Bestaande bouw
Bouwjaar 1940
Dak type Dwarskap

Bouw

Aantal kamers 4
Aantal slaapkamers 2
Aantal badkamers 1

Buitenruimte

Tuintypen Achtertuin, Voortuin
Kwaliteit Normaal

Neem contact op

    Heeft u vragen of een bezichtiging inplannen?

    Bel voor advies